Council Says Yes to Hart Subdivision Plan
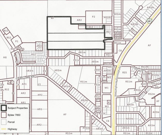
Area outlined in black is the site of the proposed subdivision – image courtesy City of Prince George
Prince George, B.C.- Another proposed residential subdivision has been given the green light.
Council for the City of Prince George, has approved the rezoning of a property in the Hart area of the City to create a multi single residential subdivision . The proposal would see more than 100 lots developed. The proposal also includes a one hectare park to help address the parkland deficit in the Hart area.
Opposition to the application centres on issues of loss of greenspace and concerns over a lack of sidewalks in the area. While the developer would be responsible for curb, gutter and sidewalks within the subdivision, the developer is not responsible for sidewalks leading into the subdivision. There are no real sidewalks on Kelly Road and there is nothing in the City’s capital plan to address that issue. Manager of Public Works, Dave Dyer says there may be a future widening of Chief Lake Road to accommodate a bike lane and possibly a trail.
A traffic impact study was done and found no concerns.
Mayor Hall wanted to know if the park that is to be dedicated to the City would be developed by the developer, but the initial answer was no. The developer did indicate there could be discussions on developing that park in a phased in approach to match the growth of the subdivision.
Councillor Brian Skakun was pleased to see the traffic study presented at this point in the process and praised the plan for increased density in the Hart “I think it’s a win win.”
Council unanimously approved the project.

Comments
The weeds have been growing quite nicely for the past 10+ years on the development at the south west corner of this new one.
I wonder if the person who did the traffic impact study ever left their office? That turn off from Highway 97 onto North Kelly won’t be able to handle the increased traffic.
The city put in a bigger water main a couple of years ago down chief lake road to provide enough water for the hydrants in that subdivision (Woodlands) so that the developer could sell the lots. There are houses being built there now. The new lights up foothills won’t hurt when selling in that subdivision either. Maybe Springwood Elementary school could be reopened in a few years if enough young families buy up there. Maybe even get put on the city bus route. Maybe the city will live up to the 40+ year old amalgamation promises made to the Hart – well probably not that. (:
Before The City approves anymore subdivisions, they should get caught up with supplying all the services in other subdivisions first
Wonder how many services to subdivisions are ever fully paid for from ‘that’ subdivision? Betcha most of them have to be paid for from the ‘next’ subdivision, and so on and on it goes.
More urban sprawl. When is it going to end?
do you live in a SFD?
praised the plan for increased density in the Hart “I think it’s a win win.”
Of course increased density is praised, it equals more $$$$ for the politicians to spend.
I see nothing wrong with encouraging more development in the Hart. However, it is in desperate need of more shopping as well. Also, what about all of the schools in the Hart being overcrowded and beyond capacity? I hope The City of PG is consulting with the School District to prepare an action plan.
Yay another park we can’t afford and can sell off in a few years. How much will a hectare fetch in 10 years…?
So at first I see that a park is to be included within this development plan, and at 1 hectare, a reasonable size (<2.5 acres) okay, good.
Then I read the punchline; the hectare so generously allotted to parkland will not be developed. So, basically, it is a 1 hectare vacant lot attached to the housing development.
I would guess that this land is not suitable to place houses upon, for some reason, so it became 'park' as long as someone else pays for it to be built, and maintained.
And I second the motion that the intersection of Kelly Rd.N and Hwy. 97 is already at capacity, at least in terms of highway traffic.
metalman.
Tennis anyone ? Sheet of ice anyone ? It’s meager but it’s commons .
Comments for this article are closed.